第07章 北野政次的罪迹(第2/5页)
在这些论文中,竹中义一是漫不经心或是有意地写着:“……经常有机会获取极为新鲜的、健康的,特别是没有精神病病历的中国北方人的大脑……”
周先生还向我们提供了另一个证据,那就作为日本仙台帝国大学解剖学研究成果,伪满洲医科大学解剖学教研室主任铃木直吉教授1942年用英文发表的论文《中国人脑髄的组织研究》。在这篇论文的第二节“材料与方法”里写道:“头部细胞学构造的研究,是切下一个个脑细胞来进行的。每个标本卡片都是用智力正常,没有生理疾病,健康的中国成年男子的脑髓制成的。”周先生还讲了当时在“满洲医科大学解剖学教研室”当勤杂工的张佩清先生的回忆,他曾亲眼见过当场对8个活人进行解剖的情景。这些在本多胜一先生写的《中国之旅》一书中已详细介绍过,这里不再赘述。
伪满洲医科大学的前身,是日本在1911年创建的以“研究中国医学”为幌子的“南满医学堂”,1922年改称“满洲医科大学”,成为以中国人为实验材料的日本军事医学的发祥地。
走出解剖学教研室,我们来到了被校舍环绕的院子里。在院子一角的地上有一个像水泥箱子般的突出物,从外观上看,就像公共住宅区的垃圾集聚处。入口处有个嵌着铁栏杆的门,推开后就是通往地下室的台阶。
北野式的生灵怜悯令
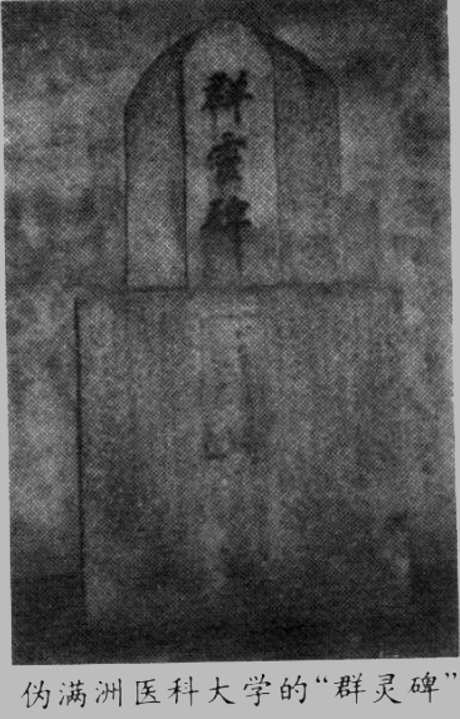
下到台阶底下,有一个小地下室。天花板很矮,两侧的墙壁上设有三层水槽似的水泥隔板。我想起我们在平房见过同样的地下室。不同的是,在里面的墙上建有一个刻着“群灵碑”的船形二层石塔。走近一看,基石上嵌着一块刻有“昭和十六年(1941年)十二月二十八日建立,北野政次”字样的铜牌。
周先生说:“这个地下室是北野饲养实验动物的地方。在这里专门饲养‘满洲’产的灰田鼠。地下室的温度保持在适宜灰田鼠生存的15℃左右。北野发现,使小动物在黑暗恒温的地下室里处于半冬眠状态后,注射斑疹伤寒菌,就能很快地发病。北野巧妙地利用小动物的生理周期来生产斑疹伤寒疫苗。

根据周先生的介绍,我们才弄清楚平房地下室的真正用途。当时估计为”弹子仓库“的地下室,其实是饲养实验用小动物的饲养室。

周先生还说:“北野给13名中国人注射了大概是在这地下室里培养的斑疹伤寒菌,并且进行了人体实验,残杀了5个人。北野在自己的论文里还介绍了这一实验。把活人当做实验品,良心却不受任何谴责的北野,竟然会为供实验用的灰田鼠立碑。”
听了周先生的讲解,我联想起德川纲吉的“生灵怜悯令”。没有子嗣的纲吉,从生母桂昌院所崇信的隆光那里得知“没有儿子是前世杀生太多的报应”的说法。他为了消除自己业障而发布了世界上最可恶而愚蠢的法令——“生灵怜悯令”。为了慰藉实验动物灵魂建立“群灵碑”,这种想法与动物的生命优于人类的观点是相同的。他们两人的罪孽不同:纲吉是出于迷信,而北野则是在探索医学的过程中践踏了医学者所应有的理念。
群灵碑鲜明地象征着731部队医学者的本质。与其说他们是医术优先于医道,莫如说他们为了探求(医)道而丧失了(人)道。
伪满洲医科大学是以中国人为实验材料,为研究军事医学而设立的“医学机构”。也就是说,他们从一开始就没有把中国人当做人来看待。大日本帝国和大和民族凌驾于世界和人类之上的傲气,促使他们把中国人作为绝好的实验材料,将医术和医道本末倒置了。
731部队在“为了探求真理”的名义上,又加上了“为了国家”的大义。也就是说,实施了“双重的正当化”。
周先生向我提供了中国方面关于北野政次1939年写的以《斑疹伤寒预防接种的研究——自制斑疹伤寒疫苗的人体实验》为题的研究论文。北野的这篇论文是使用了13名健康的中国人作为实验材料而写出的。以下是论文中关于人体实验部分的摘要。
自制的人体实验
这个材料是我们在清理阶级队伍,彻底调查日本侵略军和国民党的有关资料时发现的。伪满洲医科大学微生物教研室有个叫北野政次的主任教授。他是在美国的保护下至今未受任何制栽而逍遥法外的细菌战犯。他于1939年2月发表了以《斑疹伤寒预防接种的研究——自制斑疹伤寒疫苗的人体实验》为题的论文。这是用我国爱国同胞来进行的细菌人体实验。
在这篇论文中,北野政次不打自招地供认了亲手杀害我爱国同胞的极其残忍的罪行。他在这篇“论文”中这样写道:“实验使用的人体都是从未患过斑疹伤寒和急性肠伤寒的人中选出的32岁到74岁的健康男子。除1名商人和1名工人外,其余都是五年前至三十年前期间由山东来到关外(山海关以东)的农民。”